Dorian se convierte en un "catastrófico" huracán de categoría 5 con vientos de 260 km/h
Publicado: 1 sep 2019 12:03 GMT | Última actualización: 1 sep 2019 12:11 GMT
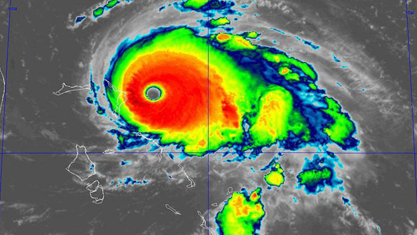
El ciclón se encuentra a 360 kilómetros de la ciudad de West Palm Beach en Florida, dirigiéndose hacia la costa este de EE.UU.

NOAA
Síguenos en Facebook
El ciclón Dorian ha sido catalogado como un huracán de categoría 5 este domingo luego de que alcanzara vientos máximos sostenidos de 260 kilómetros por hora, según indica el Centro Nacional de Huracanes de EE.UU. (NCH, por sus siglas en inglés).
"La frontera del ojo de este catastrófico huracán está a punto de azotar las islas Ábaco [Bahamas] con vientos devastadores", alerta el NHC.
NEW: #Dorian is now a category 5 #hurricane with 160 mph sustained winds. The eyewall of this catastrophic hurricane is about to hit the Abaco Islands with devastating winds. Next advisory: hurricanes.gov
1,223 people are talking about this
El Centro Nacional de Huracanes precisa que esta nueva información provino de mediciones realizadas por un avión cazatormentas que este 31 de agosto incursionó hasta el ojo del huracán.
El sábado, el NHC informó que el ciclón se ha apartado de su trayectoria prevista y ahora se está dirigiendo a los estados de Georgia y las Carolinas.
El presidente estadounidense, Donald Trump, declaró el estado de emergencia para Florida ante el acercamiento previsto del huracán a sus costas. Trump advirtió que Dorian "podría ser un monstruo absoluto" y que "todo apunta a que golpeará muy duro" el estado de Florida.
Previamente, el Servicio Meteorológico Nacional de la Administración Nacional Oceánica y Atmosférica de EE.UU. (NOAA, por sus siglas en inglés) había alertado sobre posibles marejadas ciclónicas, vientos devastadores y lluvias torrenciales en ese estado.

No hay comentarios:
Publicar un comentario